




$18,000
307 Hickory Trail
Westminster, SC 29693
About This Property
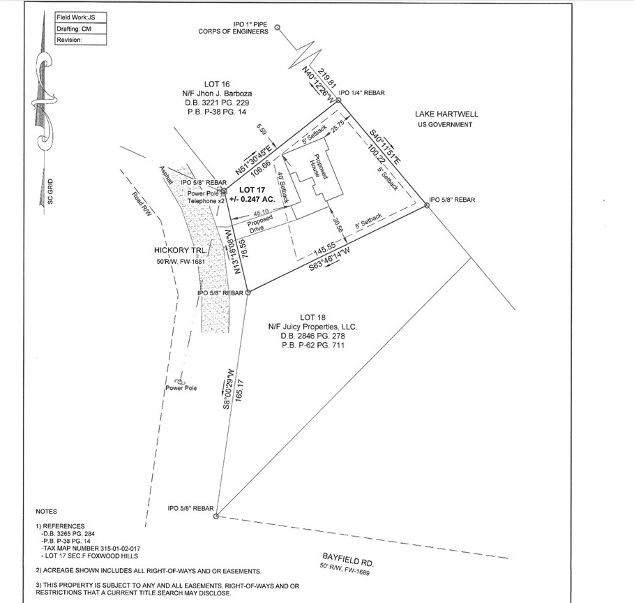
Build-ready lot — survey completed, utilities at the road, and home plans available. No guesswork for your builder. Exceptional build-ready homesite in the established Foxwood Hills lake community on Lake Hartwell. Located at 307 Hickory Trail in Section F (single-family homes only), this lot offers a peaceful residential setting with scenic lake views, mature surroundings, and a gentle slope ideal for a custom home or walk-out style design.
The property backs up to Lake Hartwell and sits at the back of a quiet cove, providing enhanced privacy and a tranquil waterfront backdrop. While the lot is not dockable and does not offer deep-water access, it captures the charm of lakefront living within a well-planned community.
This property is restricted to stick-built homes only with a minimum of 1,000 square feet, as required for lakefront lots. Setback requirements include approximately 40 feet from the front and 5 feet on the sides and rear. With proper grading and leveling, the lot can be made homesite-ready with minimal effort.
WUM MLS # 1151535725
Quick Facts
Time on Site
2 months ago
Property Type
Land
Lot Size
11,325 sqft
Property Details
Schools
Features & Amenities
Location & Map
Map View
Loading map...
Additional Information
Lot & Land
- OutsideCityLimits
- Subdivision
- Trees
- Views
- Wooded
Community & H O A
- AdjacentWater
- BoatRamp
- CommonGrounds
- Clubhouse
- Dock
- Playground
- Pool
- PetsAllowed
- TennisCourts
- Trails
Tax Information
Property Details
Systems & Utilities
- ElectricityAvailable
- SewerAvailable
- WaterAvailable
Listing Agent Information
This information is deemed reliable, but not guaranteed. Neither, the Western Upstate Association of REALTORS®, Inc. or Western Upstate Multiple Listing Service of South Carolina Inc., nor the listing broker, nor their agents or subagents are responsible for the accuracy of the information. The buyer is responsible for verifying all information. This information is provided by the Western Upstate Association of REALTORS®, Inc. and Western Upstate Multiple Listing Service of South Carolina, Inc. for use by its members and is not intended for the use for any other purpose. Information is provided for consumers' personal, non-commercial use, and may not be used for any purpose other than the identification of potential properties for purchase. The data relating to real estate for sale on this Web site comes in part from the Broker Reciprocity Program of the Western Upstate Association of REALTORS®, Inc. and the Western Upstate Multiple Listing Service, Inc.


