




$36,000
2308 Timberline Drive
Rock Hill, SC 29730
About This Property
This Property Has Been Sold
This property sold 6 years ago and is no longer available for purchase.
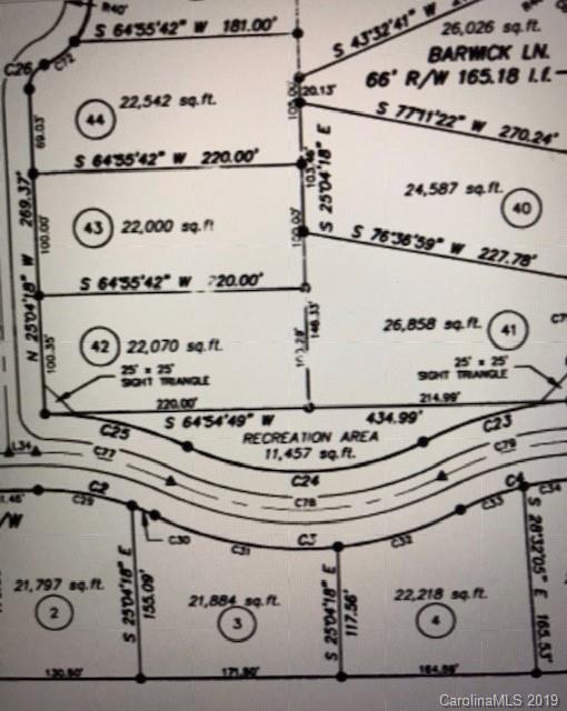
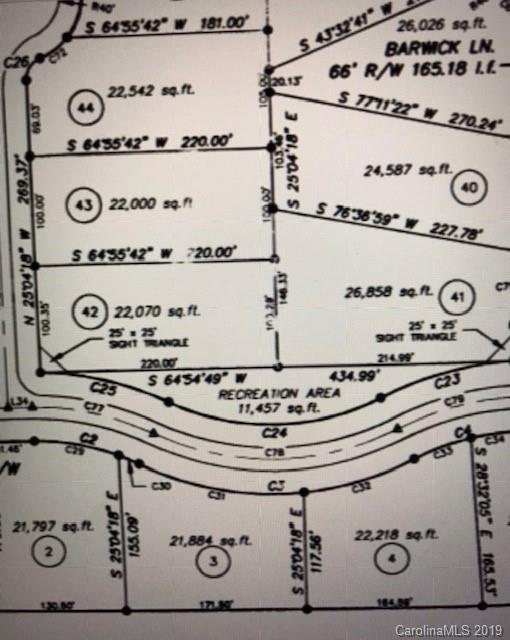
View active listings in Stonetrace →Corner lot in Stonetrace subdivision! Great neighborhood with large half acre lots. This lot does border the subdivision common area.
Plat, covenants and aerial view are attached.
CAR MLS # 63398810
Quick Facts
Time on Site
7 years ago
Property Type
Land
Lot Size
22,215 sqft
Property Details
Schools
Features & Amenities
Location & Map
Map View
Loading map...
Additional Information
Utilities
- Public Sewer
- Well Needed
Lot And Land
- Corner Lot
- None
Agent Contacts
- Palmetto Park Realty Team Fort Mill: 803.548.6123
Interior Details
Financial Information
Zoning And Restrictions
Additional C A R Information
- Architectural Review
- Livestock Restriction
- Manufactured Home Not Allowed
- Modular Not Allowed
IDX information is provided exclusively for consumers' personal, non-commercial use only; it may not be used for any purpose other than to identify prospective properties consumers may be interested in purchasing. Data is deemed reliable but is not guaranteed accurate by the MLS GRID. Use of this site may be subject to an end user license agreement. Based on information submitted to the MLS GRID as of Thu, Mar 2, 2023. All data is obtained from various sources and may not have been verified by broker or MLS GRID. Supplied Open House Information is subject to change without notice. All information should be independently reviewed and verified for accuracy. Properties may or may not be listed by the office/agent presenting the information. Some IDX listings have been excluded from this website. Any use by you of search facilities of data on the site, other than by a consumer looking to purchase real estate, is prohibited. DMCA Notice: Palmetto Park Realty respects the intellectual property rights of others. If you believe that your work has been copied in a way that constitutes copyright infringement, please provide our designated agent with written notice containing the following information: (1) identification of the copyrighted work claimed to have been infringed; (2) identification of the material that is claimed to be infringing; (3) your contact information; (4) a statement that you have a good faith belief that use of the material is not authorized; and (5) a statement that the information in the notification is accurate and you are authorized to act on behalf of the copyright owner. Please send DMCA notices to: [email protected]
You Might Also Like...
Interested in selling in Stonetrace?


