




$289,000
Lot 10 Pickens Drive
Pendleton, SC 29670
About This Property
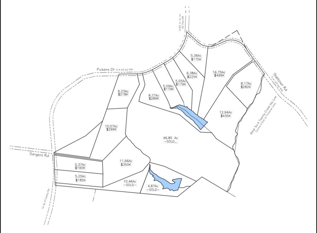
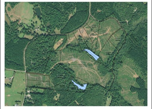
Lots 10 is 8.27 acres with road frontage and a pond. Light restrictions will be recorded at closing to keep the area esthetically appealing.
Great location just minutes to Anderson, Clemson, downtown Pendleton, and Greenville! Award winning Pendleton school district with a brand new high school opening in 2026! Country living yet convenient to schools, shopping, hospitals, lake Hartwell etc!
Survey will be included! Call your builder and grab these lots up before they are gone! Land does not come up for sale very often in this area.
WUM MLS # 1119778714
Quick Facts
Time on Site
9 months ago
Property Type
Land
Lot Size
8.27 acres
Property Details
Schools
Features & Amenities
Location & Map
Address
Lot 10 Pickens Drive, Pendleton, SC 29670
Map View
Loading map...
Additional Information
Lot & Land
- NotInSubdivision
- OutsideCityLimits
Tax Information
Listing Agent Information
This information is deemed reliable, but not guaranteed. Neither, the Western Upstate Association of REALTORS®, Inc. or Western Upstate Multiple Listing Service of South Carolina Inc., nor the listing broker, nor their agents or subagents are responsible for the accuracy of the information. The buyer is responsible for verifying all information. This information is provided by the Western Upstate Association of REALTORS®, Inc. and Western Upstate Multiple Listing Service of South Carolina, Inc. for use by its members and is not intended for the use for any other purpose. Information is provided for consumers' personal, non-commercial use, and may not be used for any purpose other than the identification of potential properties for purchase. The data relating to real estate for sale on this Web site comes in part from the Broker Reciprocity Program of the Western Upstate Association of REALTORS®, Inc. and the Western Upstate Multiple Listing Service, Inc.


