
Augusta Road Hills
1/1
$89k
Augusta Road Hills
SOLD
$89k
$89,000
Sold: $80,000-10%
216 Cammer Avenue
Greenville, SC 29605
About This Property
This Property Has Been Sold
This property sold 12 years ago and is no longer available for purchase.
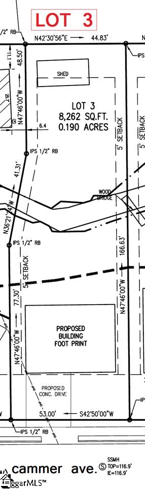
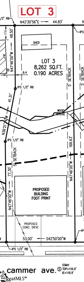
View active listings in Augusta Road Hills →LOT 3. Residential building lot in desirable Augusta Road area. Property taxes are approximate.
|
Lot is the RIGHT part of tax map# 0213000701500. Parcel will soon have it's own tax ID.
GVL MLS # 1267462
Quick Facts
Time on Site
13 years ago
Property Type
Land
Lot Size
8,276 sqft
Property Details
Sub-Type:
ResidentialLot
Features & Amenities
Location & Map
Map View
Loading map...
Additional Information
Community
Community Features
- Other
Lot & Land
Lot Features
- 1/2 Acre or Less
- Wooded
Lot Size ( Acres)
0.19
Tax Information
Annual Tax
1200
Property Overview
County
Greenville
Utilities & Systems
Utilities
- Sewer Available
- Water Available
Listing Agent Information
Listing Courtesy
Scott D Bradford of D H P Real Estate LLC
Request Showing From Palmetto Park Realty Team
(864) 670-2100
The information is being provided by Greater Greenville MLS. Information deemed reliable but not guaranteed. Information is provided for consumers' personal, non-commercial use, and may not be used for any purpose other than the identification of potential properties for purchase. Copyright 2025 Greater Greenville MLS. All Rights Reserved.
You Might Also Like...
Interested in selling in Augusta Road Hills?


