




$185,000
22+/- Acres Old Cedar Rock Road
Easley, SC 29640
About This Property
This Property Has Been Sold
This property sold 14 years ago and is no longer available for purchase.
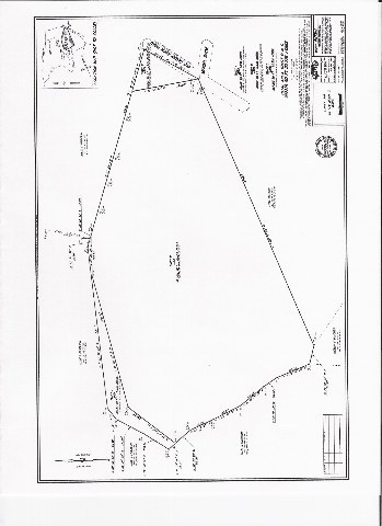
View active listings in Monte Vista →Property has approx 300FT road frontage according to new survey. Wooded acreage with stream that backs up to Monte Vista with city water! Country living close to hospital and town.
OWNER WILL FINANCE!!
GVL MLS # 1209324
Quick Facts
Time on Site
16 years ago
Property Type
Land
Lot Size
22.77 acres
Property Details
Schools
Features & Amenities
Location & Map
Map View
Loading map...
Additional Information
Community
- Horses Permitted
Lot & Land
- 10 - 25 Acres
- Rural
- Will Consider Dividing
- Wooded
Tax Information
Property Overview
Utilities & Systems
- Septic Tank
- Cable Available
- Phone Available
- Public
Listing Agent Information
The information is being provided by Greater Greenville MLS. Information deemed reliable but not guaranteed. Information is provided for consumers' personal, non-commercial use, and may not be used for any purpose other than the identification of potential properties for purchase. Copyright 2025 Greater Greenville MLS. All Rights Reserved.
You Might Also Like...
Interested in selling in Monte Vista?


