




$225,000
9241 9245 9249 Old Moores Chapel Road
Charlotte, NC 28214
About This Property
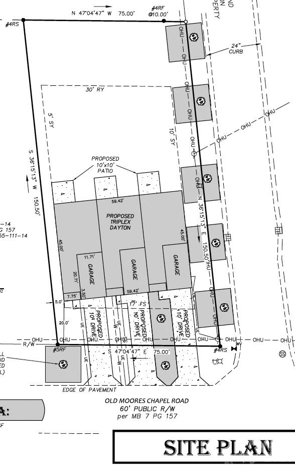
Shovel ready triplex development opportunity in Charlotte minutes from the US National Whitewater Center, Belmont and Mount Holly. Full site plan and sub-lot plat approval by the City of Charlotte, allowing a buyer to move directly into construction without delay. The lot is cleared and pad ready for slab foundation, providing significant upfront cost and time savings, ideal for a smooth and efficient build.
Plans call for each unit to have 1,352 heated square feet, 3 beds and 2.5 baths + a 242 square foot garage per unit. Public water and sewer available at the street.
The neighborhood and surrounding area continues to see strong growth with hundreds of new construction homes being built in the immediate area. Expansive 15 acre park planned directly across the street. Excellent opportunity for a builder, investor, or first-time ground-up project in a high growth corridor of Charlotte.
CAR MLS # 297486172
Quick Facts
Time on Site
3 days ago
Property Type
Land
Property Details
Schools
Features & Amenities
Location & Map
Address
9241 9245 9249 Old Moores Chapel Road, Charlotte, NC 28214
Community
Eleanor Park
Map View
Loading map...
Additional Information
Utilities
- Public Sewer
- Tap Fee Required
- City
- Tap Fee Required
Lot And Land
Agent Contacts
- Palmetto Park Realty Team Fort Mill: 803.548.6123
Interior Details
Financial Information
Zoning And Restrictions
Square Footage And Levels
Additional C A R Information
IDX information is provided exclusively for consumers' personal, non-commercial use only; it may not be used for any purpose other than to identify prospective properties consumers may be interested in purchasing. Data is deemed reliable but is not guaranteed accurate by the MLS GRID. Use of this site may be subject to an end user license agreement. Based on information submitted to the MLS GRID as of Tue, Mar 10, 2026. All data is obtained from various sources and may not have been verified by broker or MLS GRID. Supplied Open House Information is subject to change without notice. All information should be independently reviewed and verified for accuracy. Properties may or may not be listed by the office/agent presenting the information. Some IDX listings have been excluded from this website. Any use by you of search facilities of data on the site, other than by a consumer looking to purchase real estate, is prohibited. DMCA Notice: Palmetto Park Realty respects the intellectual property rights of others. If you believe that your work has been copied in a way that constitutes copyright infringement, please provide our designated agent with written notice containing the following information: (1) identification of the copyrighted work claimed to have been infringed; (2) identification of the material that is claimed to be infringing; (3) your contact information; (4) a statement that you have a good faith belief that use of the material is not authorized; and (5) a statement that the information in the notification is accurate and you are authorized to act on behalf of the copyright owner. Please send DMCA notices to: [email protected]