



$249,900
4614 4618 4622 Dogwood Place
Charlotte, NC 28215
About This Property
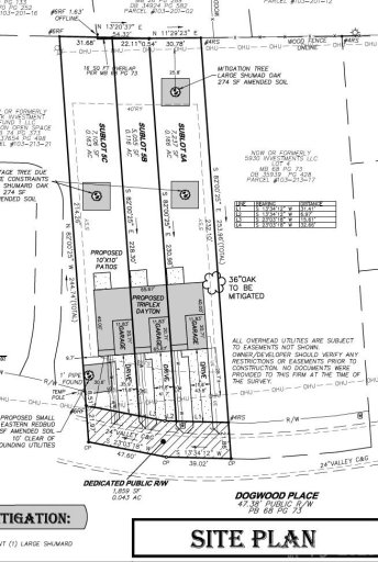
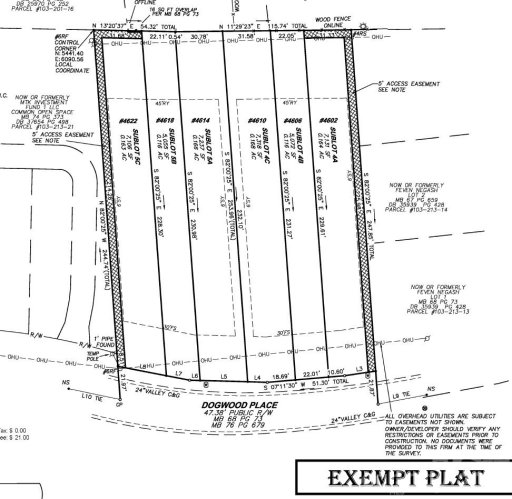
Fully approved, platted and pad-ready 3 unit development opportunity in East Charlotte. Site is prepped for monoslab foundations, allowing for an efficient and immediate path to vertical construction. Includes one set of water and sewer taps (valued at $17,340), significantly reducing upfront costs and timelines.
Urban Forestry Tree Mitigation Fees have also already been paid. Ideal for builders, developers, or investors seeking a streamlined project with no entitlement or site work risk. Rare opportunity in a strong growth corridor with multiple exit strategies, including build-to-sell or build-to-rent.
The adjoining lot is also available, offering the opportunity to scale to a 6-unit development.
CAR MLS # 299424456
Quick Facts
Time on Site
19 days ago
Property Type
Land
Property Details
Schools
Features & Amenities
Location & Map
Map View
Loading map...
Additional Information
Utilities
- Public Sewer
- Tap Fee Required
- City
- Tap Fee Required
Lot And Land
Agent Contacts
- Palmetto Park Realty Team Fort Mill: 803.548.6123
Interior Details
Financial Information
Zoning And Restrictions
Square Footage And Levels
Additional C A R Information
IDX information is provided exclusively for consumers' personal, non-commercial use only; it may not be used for any purpose other than to identify prospective properties consumers may be interested in purchasing. Data is deemed reliable but is not guaranteed accurate by the MLS GRID. Use of this site may be subject to an end user license agreement. Based on information submitted to the MLS GRID as of Sun, Apr 19, 2026. All data is obtained from various sources and may not have been verified by broker or MLS GRID. Supplied Open House Information is subject to change without notice. All information should be independently reviewed and verified for accuracy. Properties may or may not be listed by the office/agent presenting the information. Some IDX listings have been excluded from this website. Any use by you of search facilities of data on the site, other than by a consumer looking to purchase real estate, is prohibited. DMCA Notice: Palmetto Park Realty respects the intellectual property rights of others. If you believe that your work has been copied in a way that constitutes copyright infringement, please provide our designated agent with written notice containing the following information: (1) identification of the copyrighted work claimed to have been infringed; (2) identification of the material that is claimed to be infringing; (3) your contact information; (4) a statement that you have a good faith belief that use of the material is not authorized; and (5) a statement that the information in the notification is accurate and you are authorized to act on behalf of the copyright owner. Please send DMCA notices to: [email protected]